Projects

Our Projects

Latest Works

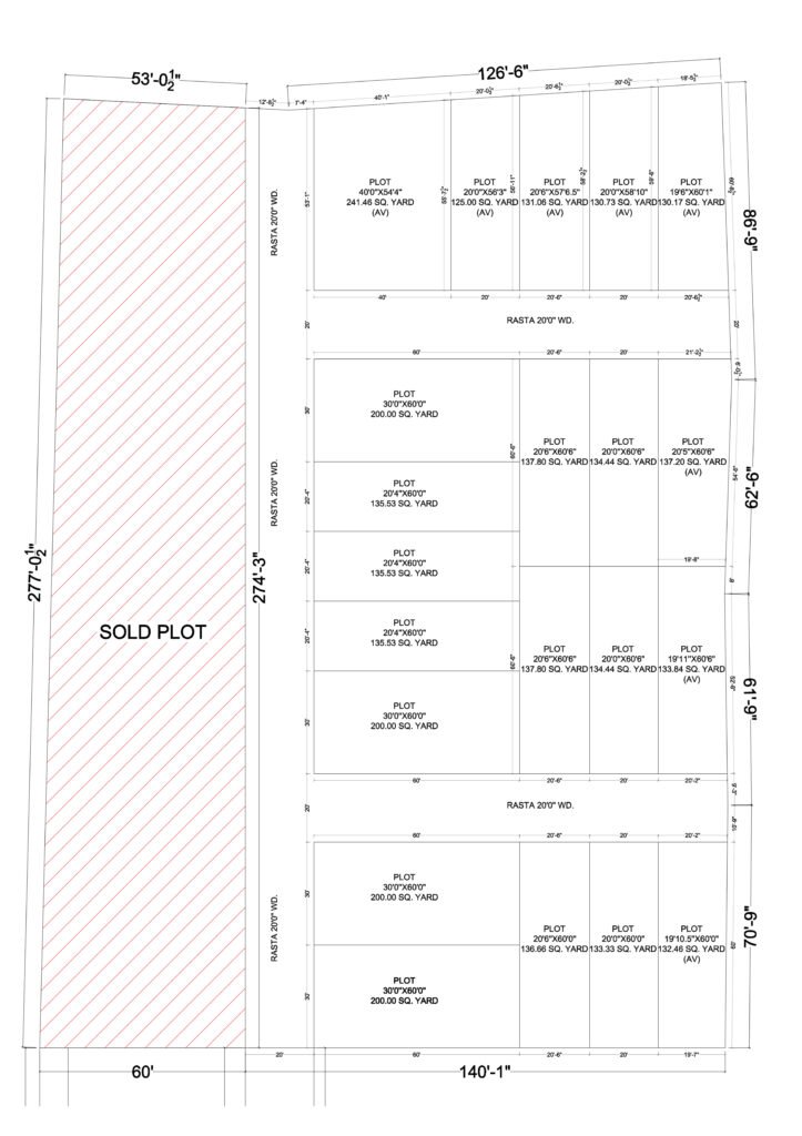
Our New Site Plan

we4home.pdf